Hi There! Is this Your First Time?
Did you know if you Register you have access to free search tools including the ability to save listings and property searches? Did you know that you can bypass the search altogether and have listings sent directly to your email address? Check out our how-to page for more info.
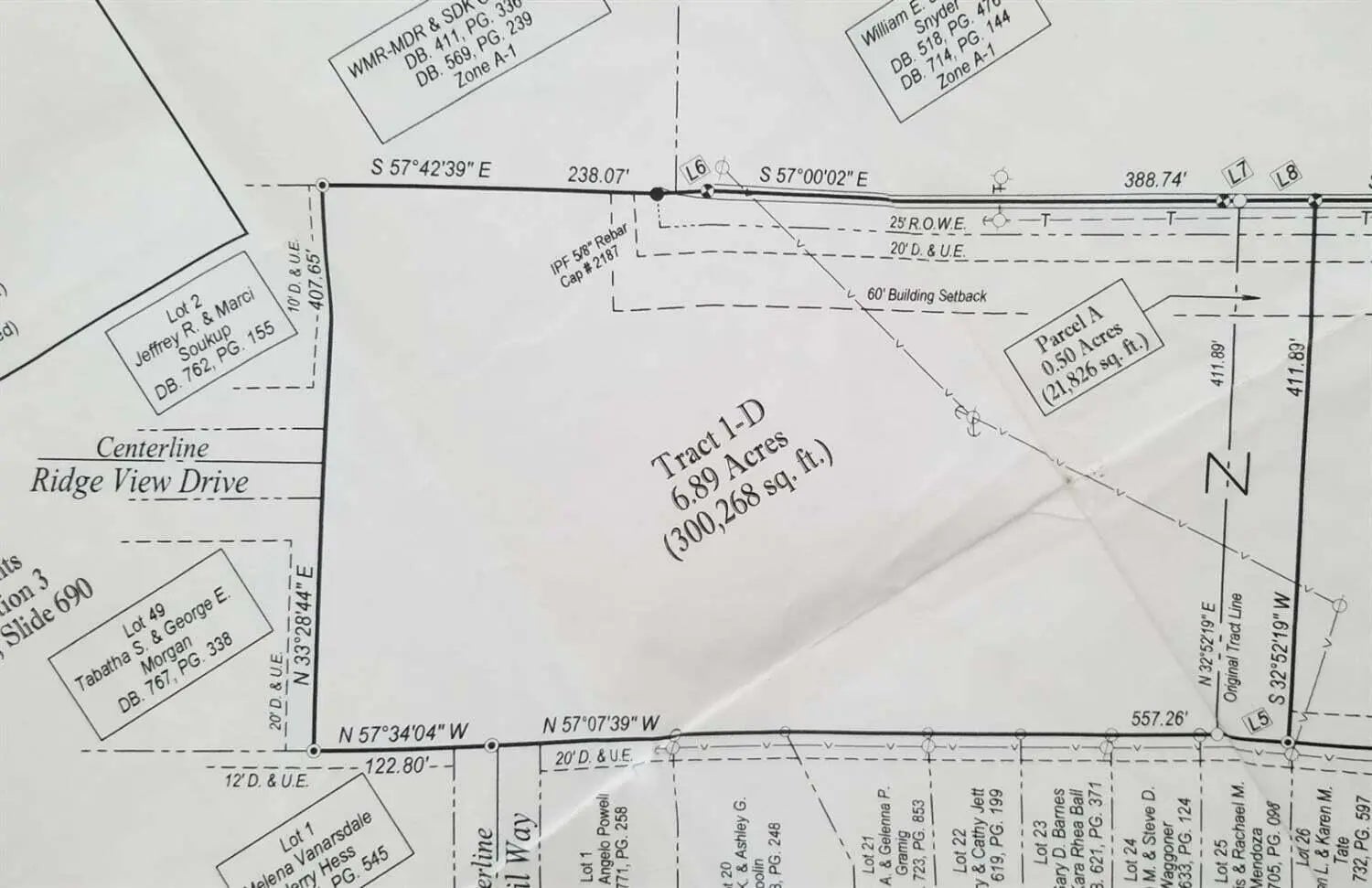
- Price$950,000
- Acres6.89
Tract 1-d Ohare Lane, Nicholasville
Terrific development potential. 6.89 acres of vacant land in Nicholasville, KY. Property located in county limits.
Essential Information
- MLS® #23017505
- Price$950,000
- Acres6.89
- TypeLand
- Sub-TypeUnimproved Land
- StatusActive
Amenities
- UtilitiesElectricity Available
Additional Information
- Date ListedSeptember 9th, 2023
Community Information
- AddressTract 1-d Ohare Lane
- Area009 - Jessamine County
- SubdivisionRural
- CityNicholasville
- CountyJessamine
- StateKY
- Zip Code40356
Exterior
- Lot DescriptionCleared, Rolling Slope, Gentle Sloping
Listing Details
- Listing OfficeUnited Real Estate Bluegrass






















