Hi There! Is this Your First Time?
Did you know if you Register you have access to free search tools including the ability to save listings and property searches? Did you know that you can bypass the search altogether and have listings sent directly to your email address? Check out our how-to page for more info.
- Price$150,000
- Acres2.93
Watterson Trail, Louisville
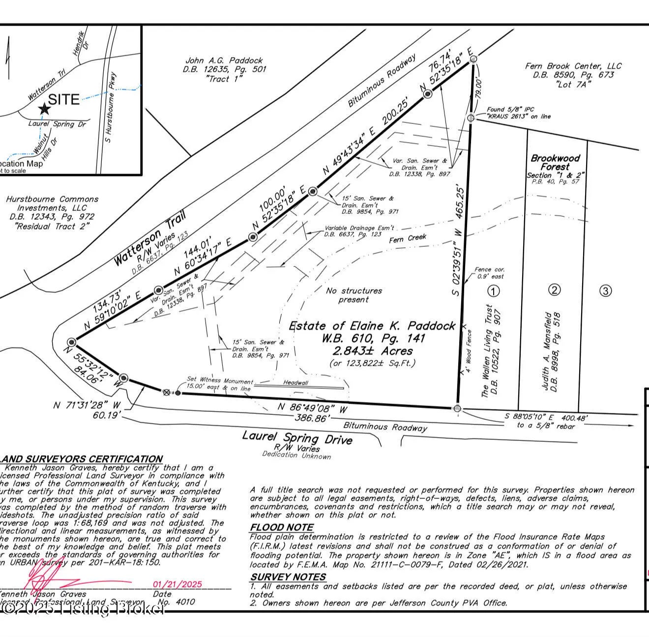
On the corner of Watterson Trail and Laurel Springs Drive Road lies a unique 2.843-acre wooded parcel boasting extensive frontage along both roads. This triangular lot features lush trees and a creek meandering through its center, albeit with water drainage easements and partial placement within a flood plain. Zoned R4, this property presents an opportunity for a low-density development, offering potential for several homesites. The area's established community, marked by evolving retail spaces, residential plots, and amenities, provides a promising backdrop for individuals with a keen eye for innovation and a desire for distinctiveness.
Essential Information
- MLS® #1704018
- Price$150,000
- Acres2.93
- TypeLand
- Sub-TypeResidential Land
- StatusActive
Amenities
- UtilitiesNone
Additional Information
- ZoningResidential
Community Information
- AddressWatterson Trail
- Area07-FernCreek/Hikes Point/Jeffersontown
- SubdivisionNONE
- CityLouisville
- CountyJefferson
- StateKY
- Zip Code40299
Exterior
- Lot DescriptionIrregular Lot, Corner Lot, Storm Sewer, Wooded, Curb & Gutter, Easements, Survey Available
Listing Details
- Listing OfficeGant Hill & Associates, Llc

The data relating to real estate for sale on this web site comes in part from the Internet Data Exchange Program of Metro Search Multiple Listing Service. Real estate listings held by IDX Brokerage firms other than RE/Max Properties East are marked with the IDX logo or the IDX thumbnail logo and detailed information about them includes the name of the listing IDX Brokers. Information Deemed Reliable but Not Guaranteed © 2025 Metro Search Multiple Listing Service. All rights reserved.































