Hi There! Is this Your First Time?
Did you know if you Register you have access to free search tools including the ability to save listings and property searches? Did you know that you can bypass the search altogether and have listings sent directly to your email address? Check out our how-to page for more info.
- Price$192,000
- Acres0.96
129 Conoloway Bay Dr, Clarkson
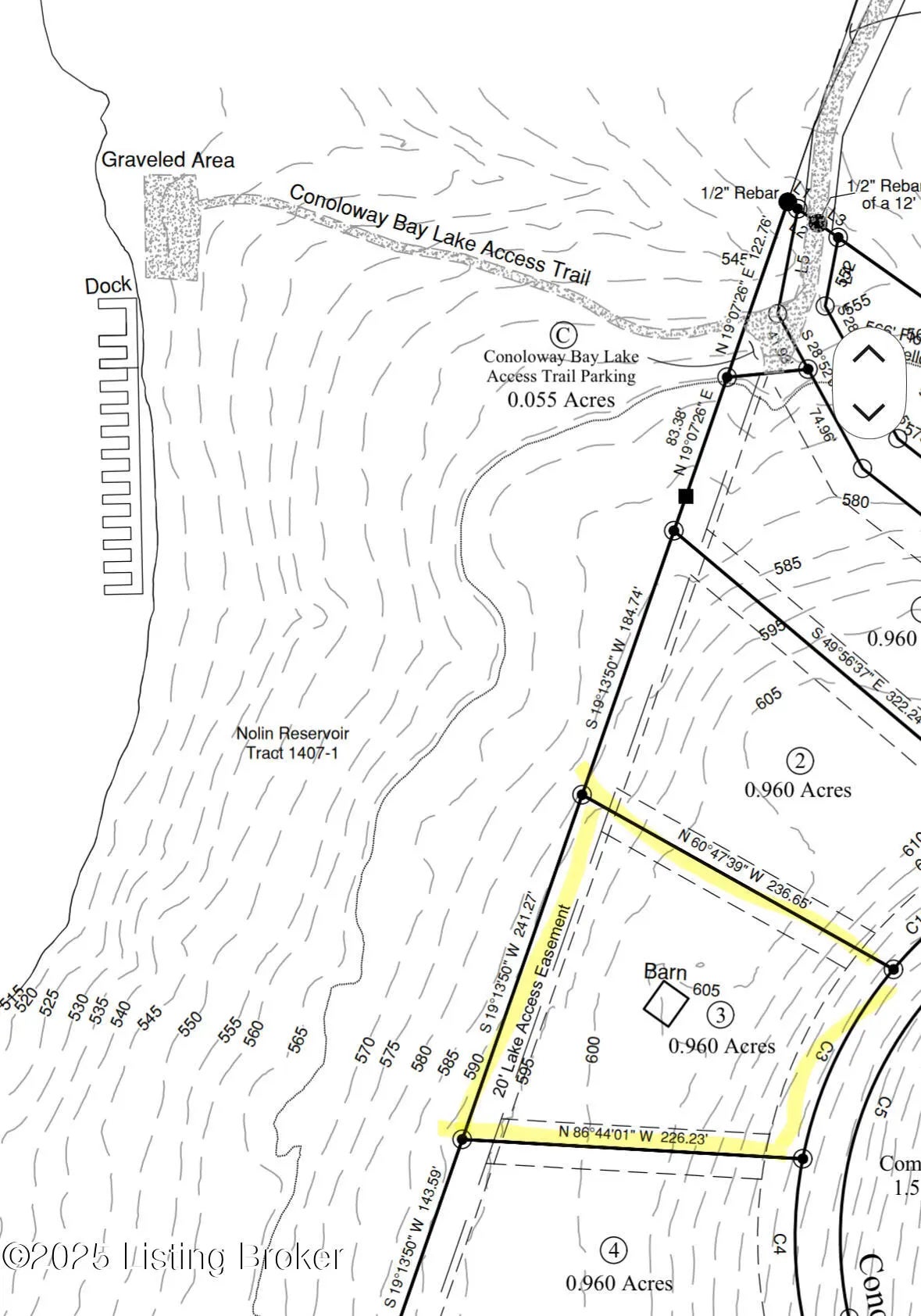
Nolin's newest and most unique gated community is now available! Conoloway Bay is a private and gated community located at the very tip of Conoloway by water, and the end of Decker Ln. by road. There are only 12 lots in total, with a dock associated with each lot and already floating in the lake. The docks have a very easy and gently-sloping gravel path with no steps, as well as an easement around the perimeter for lakeside access. Pick your favorite lot, a plan, and a builder!
Essential Information
- MLS® #1709495
- Price$192,000
- Acres0.96
- TypeLand
- Sub-TypeResidential Land
- StatusActive
Amenities
- UtilitiesOther
- Is WaterfrontYes
Additional Information
- ZoningResidential
Community Information
- Address129 Conoloway Bay Dr
- SubdivisionConoloway Bay
- CityClarkson
- CountyGrayson
- StateKY
- Zip Code42726
Exterior
- Lot DescriptionWaterfront, Add Land Available, Developed Lot, Easements, Restrictions, Survey Available
Listing Details
- Listing OfficeGreater Nolin Lake Realty Group

The data relating to real estate for sale on this web site comes in part from the Internet Data Exchange Program of Metro Search Multiple Listing Service. Real estate listings held by IDX Brokerage firms other than RE/Max Properties East are marked with the IDX logo or the IDX thumbnail logo and detailed information about them includes the name of the listing IDX Brokers. Information Deemed Reliable but Not Guaranteed © 2026 Metro Search Multiple Listing Service. All rights reserved.












































