Hi There! Is this Your First Time?
Did you know if you Register you have access to free search tools including the ability to save listings and property searches? Did you know that you can bypass the search altogether and have listings sent directly to your email address? Check out our how-to page for more info.
- Price$51,000
- Acres0.50
0 Lot 202 Oak Creek Dr, Mt Washington
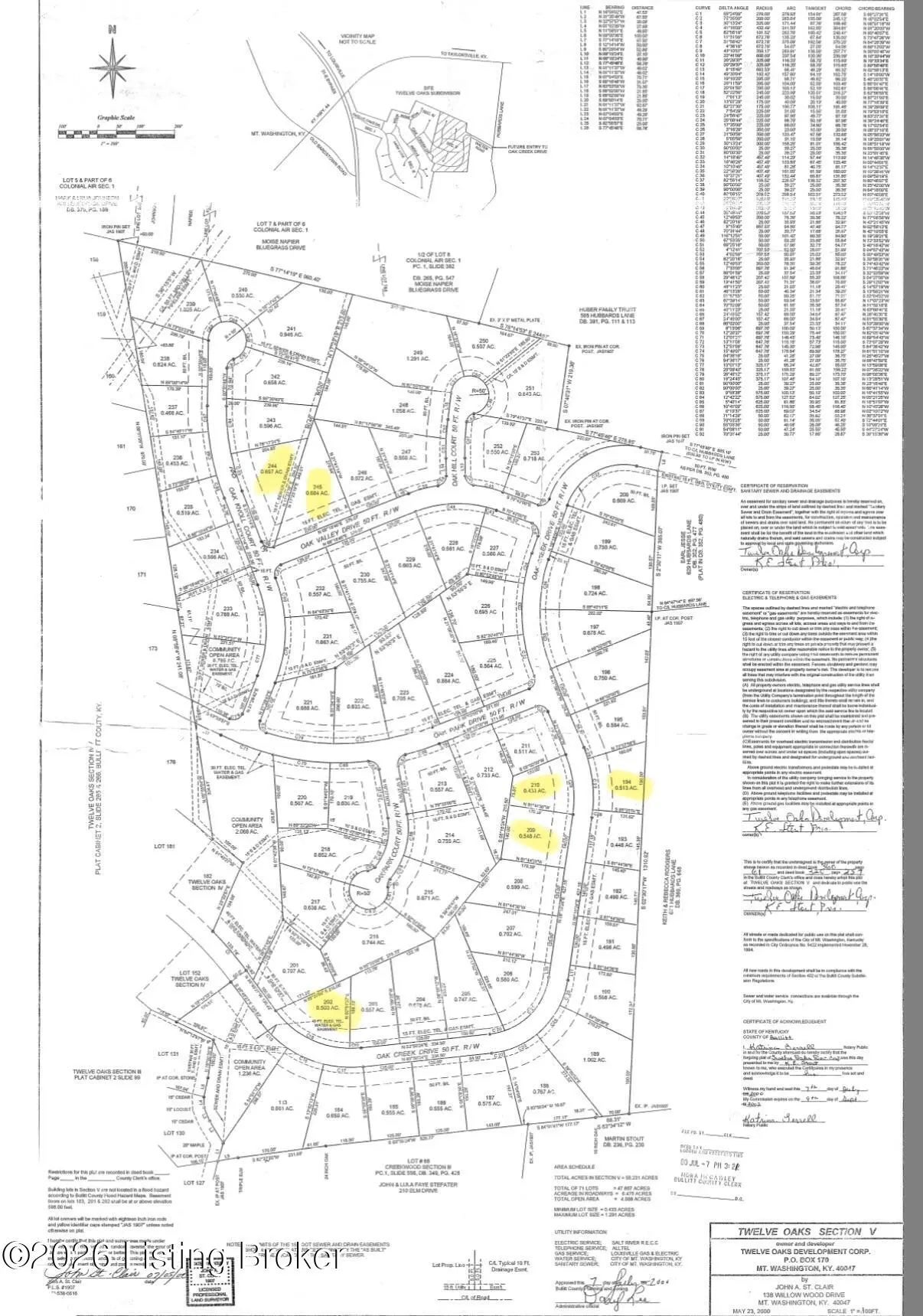
Lot 202 In Section Five Of Twelve Oaks Offers .503 Acres ~ This Lot Is Lightly Wooded With A Gentle Roll. The Minimum Size For A Home On This Lot Is 2,300 Sq. Ft. Of Living Space. Be Sure To Review The Restrictions & Plat Which Can Be Found At TwelveOaksFYI.Com. Twelve Oaks Neighborhood Is A Wonderful Deed-Restricted Development With A Signature Entrance, Tennis Courts, Clubhouse & Pool - This Lot Is In Section 5, Which Has A Pool Membership. The Development Offers Underground Utilities, City Water, Sewers, Gas, Sidewalks & More. Great Location In A Growing Community With Award-Winning Schools. We Can Also Help Arrange A Builder To Design Your Dream Home! This Is One Of The 16 Lots Remaining.
Essential Information
- MLS® #1712811
- Price$51,000
- Acres0.50
- TypeLand
- Sub-TypeResidential Land
- StatusActive
Amenities
- UtilitiesElectricity Connected
Additional Information
- ZoningResidential
Community Information
- Address0 Lot 202 Oak Creek Dr
- Area11-Bullitt County
- SubdivisionTWELVE OAKS
- CityMt Washington
- CountyBullitt
- StateKY
- Zip Code40047
Exterior
- Lot DescriptionSidewalk, Cleared, Storm Sewer, Covenants, Curb & Gutter, Developed Lot, Easements, Flat, Restrictions
Listing Details
- Listing OfficeReal Broker, Llc

The data relating to real estate for sale on this web site comes in part from the Internet Data Exchange Program of Metro Search Multiple Listing Service. Real estate listings held by IDX Brokerage firms other than RE/Max Properties East are marked with the IDX logo or the IDX thumbnail logo and detailed information about them includes the name of the listing IDX Brokers. Information Deemed Reliable but Not Guaranteed © 2026 Metro Search Multiple Listing Service. All rights reserved.















































